Atopowe zapalenie skóry (AZS) to przewlekła choroba, która potrafi spędzać sen z powiek właścicielom psów, a ich pupilom przysparzać ogromnego cierpienia. Jeśli tradycyjne metody leczenia nie przynoszą ulgi lub wiążą się z nieakceptowalnymi skutkami ubocznymi, ten artykuł jest dla Ciebie, ponieważ przedstawia nadzieję w postaci innowacyjnych terapii, które zrewolucjonizowały walkę ze świądem i stanem zapalnym.
Nowe leki na atopowe zapalenie skóry u psa oferują skuteczną i bezpieczniejszą alternatywę dla tradycyjnych terapii.
- Atopowe zapalenie skóry (AZS) to przewlekła choroba o podłożu alergicznym, dotykająca nawet 15-30% psów.
- Tradycyjne leczenie (sterydy, cyklosporyna) jest skuteczne, ale obarczone ryzykiem poważnych skutków ubocznych przy długotrwałym stosowaniu.
- Oklacytynib (Apoquel) to inhibitor kinaz JAK, szybko łagodzący świąd w formie tabletek, działający celowanie.
- Lokiwetmab (Cytopoint) to przeciwciało monoklonalne (terapia biologiczna), podawane w zastrzyku, precyzyjnie neutralizujące IL-31, działające do 8 tygodni.
- Oba leki nowej generacji charakteryzują się lepszym profilem bezpieczeństwa i są bardziej celowane niż tradycyjne metody.
- Wybór terapii, koszty i dostępność muszą być zawsze konsultowane z lekarzem weterynarii, który postawi diagnozę i dobierze odpowiednie leczenie.

Gdy sterydy to za mało: Dlaczego właściciele psów z atopią szukają nowych rozwiązań?
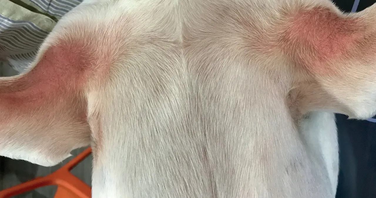
Atopowe zapalenie skóry (AZS) u psów to coś więcej niż zwykła alergia. To przewlekła, uwarunkowana genetycznie choroba zapalna skóry o podłożu alergicznym, której głównym i najbardziej uciążliwym objawem jest silny świąd. Szacuje się, że dotyka ona nawet 15-30% populacji psów, co czyni ją jednym z najczęstszych problemów dermatologicznych w weterynarii. Rasy takie jak buldogi, labradory, golden retrievery, west highland white terriery czy owczarki niemieckie są szczególnie predysponowane. Dla właścicieli, którzy zmagają się z tą chorobą, AZS często staje się "walką na całe życie", wymagającą ciągłej uwagi i poszukiwania skutecznych rozwiązań.
Czym jest atopowe zapalenie skóry (AZS) i dlaczego to walka na całe życie?
Przez lata podstawą leczenia atopowego zapalenia skóry u psów były glikokortykosteroidy, potocznie zwane sterydami, oraz cyklosporyna. Nie da się ukryć, że są to leki skuteczne w szybkim łagodzeniu objawów, zwłaszcza świądu i stanu zapalnego. Jednak, jak to często bywa w medycynie, ich długotrwałe stosowanie wiąże się z ryzykiem poważnych skutków ubocznych. To właśnie te potencjalne pułapki tradycyjnego leczenia skłaniają zarówno właścicieli, jak i nas, lekarzy weterynarii, do aktywnego poszukiwania bezpieczniejszych i bardziej celowanych alternatyw. Nikt nie chce, by ulga w świądzie odbywała się kosztem zdrowia ogólnego pupila.
Pułapki tradycyjnego leczenia: Skutki uboczne sterydów i cyklosporyny, które martwią właścicieli.
Jako lekarz weterynarii, ale także jako osoba empatyczna, rozumiem, jak ogromnym obciążeniem emocjonalnym jest życie z psem-alergikiem. Widok cierpiącego pupila, który nieustannie się drapie, gryzie i liże, jest dla właściciela niezwykle frustrujący. Do tego dochodzi bezradność, gdy kolejne próby leczenia nie przynoszą trwałej poprawy, a perspektywa długotrwałego podawania leków obarczonych ryzykiem skutków ubocznych budzi lęk. Właściciele psów z AZS nie szukają tylko leku; szukają nadziei na lepsze jutro dla swojego czworonożnego przyjaciela i konkretnych rozwiązań, które pozwolą mu odzyskać komfort życia bez ciągłego świądu i bólu.
Frustracja i bezradność: Emocjonalny koszt życia z psem-alergikiem.

Rewolucja w walce ze świądem: Poznaj leki nowej generacji dostępne w Polsce
W odpowiedzi na rosnące potrzeby pacjentów weterynaryjnych i frustrację związaną z ograniczeniami tradycyjnych terapii, na rynku pojawiły się leki nowej generacji. To prawdziwa rewolucja w leczeniu atopowego zapalenia skóry u psów, która zmieniła podejście do walki ze świądem i stanem zapalnym. Ich pojawienie się dało nadzieję tysiącom właścicieli i ich podopiecznych, oferując skuteczniejsze i bezpieczniejsze opcje.
Na czym polega ich przełom? Celowane działanie zamiast ogólnoustrojowej "bomby".
Innowacyjność leków nowej generacji polega przede wszystkim na ich celowanym działaniu. W przeciwieństwie do sterydów, które działają ogólnoustrojowo, niczym "bomba" na cały organizm, te nowoczesne terapie działają na poziomie molekularnym. Oznacza to, że precyzyjnie blokują konkretne szlaki sygnałowe odpowiedzialne za świąd i zapalenie, minimalizując jednocześnie wpływ na inne układy organizmu. To podejście jest kluczowe dla zwiększenia bezpieczeństwa i zmniejszenia ryzyka niepożądanych efektów.
Apoquel (oklacytynib): Szybka ulga w tabletce jak działa i dla kogo jest przeznaczony?
Oklacytynib, znany szerzej pod nazwą handlową Apoquel, to jeden z pionierów wśród leków nowej generacji. Jest to inhibitor kinaz janusowych (JAK), co oznacza, że działa na poziomie komórkowym, blokując przekazywanie sygnałów odpowiedzialnych za świąd i zapalenie. W szczególności hamuje działanie interleukiny-31 (IL-31), kluczowej cytokiny prozapalnej i pruritoceptywnej, czyli odpowiedzialnej za uczucie świądu. Apoquel jest dostępny w formie tabletek doustnych, a jego ogromną zaletą jest szybkość działania ulga w świądzie często pojawia się już w ciągu kilku do 24 godzin od podania pierwszej dawki. Jest przeznaczony do kontroli świądu związanego z alergicznym zapaleniem skóry oraz leczenia objawów klinicznych AZS. Choć uważany za lek o dobrym profilu bezpieczeństwa w porównaniu do sterydów, ponieważ działa bardziej celowo, warto pamiętać, że może zwiększać podatność na infekcje i nie jest zalecany u psów z ciężkimi zakażeniami lub historią nowotworów.
Cytopoint (lokiwetmab): Precyzyjny zastrzyk, który wyłącza świąd na miesiąc co to jest terapia biologiczna?
Drugim przełomowym lekiem jest lokiwetmab, sprzedawany pod nazwą Cytopoint. To kanizowane przeciwciało monoklonalne, co klasyfikuje go jako terapię biologiczną. Jego mechanizm działania jest niezwykle precyzyjny Cytopoint neutralizuje specyficznie interleukinę-31 (IL-31), czyli tę samą kluczową cytokinę odpowiedzialną za świąd, którą blokuje Apoquel. Dzięki temu przerywa cykl świąd-drapanie, ale co ważne, nie wpływa na ogólną odporność organizmu. Cytopoint podawany jest w formie comiesięcznego zastrzyku podskórnego przez lekarza weterynarii. Działanie przeciwświądowe jest również szybkie, często widoczne w ciągu 24 godzin, a jedna dawka działa przez 4 do 8 tygodni. Jest to lek przeznaczony do leczenia objawów klinicznych atopowego zapalenia skóry u psów i jest uważany za bardzo bezpieczny, ponieważ jako białko jest naturalnie rozkładany w organizmie, nie obciążając wątroby ani nerek. Skutki uboczne są rzadkie, a lek jest bezpieczny dla psów w każdym wieku, także tych z innymi chorobami współistniejącymi. Należy jednak pamiętać, że nie stosuje się go u psów o masie ciała poniżej 3 kg.

Apoquel vs. Cytopoint: Który lek będzie lepszy dla Twojego psa?
Wybór między Apoquelem a Cytopointem to decyzja, która zależy od wielu czynników, a co najważniejsze, powinna być zawsze podjęta w ścisłym porozumieniu z lekarzem weterynarii. Nie ma jednej "lepszej" opcji dla wszystkich, ale możemy przyjrzeć się różnicom, które pomogą w podjęciu świadomej decyzji.
Tabletka codziennie czy zastrzyk raz w miesiącu? Porównanie wygody i formy podania.
Kluczową różnicą, która często decyduje o wyborze, jest forma podania. Apoquel to tabletki doustne, które właściciel podaje psu codziennie w domu. Daje to pewną elastyczność w dawkowaniu i pozwala na szybką reakcję w przypadku zaostrzenia objawów. Z kolei Cytopoint to zastrzyk, który podaje lekarz weterynarii raz w miesiącu, a czasem nawet rzadziej. Dla wielu właścicieli, zwłaszcza tych, którzy mają problem z regularnym podawaniem tabletek lub których psy są wyjątkowo oporne na doustne leki, opcja miesięcznego zastrzyku jest niezwykle wygodna i gwarantuje przestrzeganie zaleceń terapeutycznych.
Szybkość działania i skuteczność: Czego możesz się spodziewać po obu terapiach?
Zarówno Apoquel, jak i Cytopoint charakteryzują się bardzo szybkim działaniem. W większości przypadków ulga w świądzie jest zauważalna już w ciągu 24 godzin od podania. Różnica pojawia się w długości utrzymywania się efektu. Apoquel wymaga codziennego podawania, aby utrzymać stały poziom leku w organizmie i kontrolować świąd. Cytopoint natomiast, po jednorazowym zastrzyku, działa przez 4 do 8 tygodni, co zapewnia długotrwałą ulgę bez konieczności codziennego interweniowania.
Profil bezpieczeństwa: Potencjalne skutki uboczne i przeciwwskazania, o których musisz wiedzieć.
Oba leki nowej generacji mają znacznie lepszy profil bezpieczeństwa w porównaniu do tradycyjnych sterydów, ale istnieją pewne różnice. Apoquel, jako inhibitor kinaz JAK, może w rzadkich przypadkach zwiększać podatność na infekcje, a jego stosowanie jest przeciwwskazane u psów z ciężkimi zakażeniami lub historią nowotworów. Cytopoint, jako przeciwciało monoklonalne, jest uważany za niezwykle bezpieczny, ponieważ jest naturalnie rozkładany w organizmie i nie obciąża wątroby ani nerek. Skutki uboczne są bardzo rzadkie, a głównym przeciwwskazaniem jest masa ciała psa poniżej 3 kg. Ta różnica w profilu bezpieczeństwa często jest kluczowa w przypadku psów z chorobami współistniejącymi.
Kiedy weterynarz częściej wybierze Apoquel, a kiedy Cytopoint? Analiza przypadków.
W mojej praktyce, wybór między Apoquelem a Cytopointem często zależy od indywidualnych cech pacjenta i właściciela. Apoquel może być preferowany, gdy potrzebna jest większa elastyczność w dawkowaniu, na przykład w przypadku sezonowej alergii lub gdy właściciel chce mieć możliwość dostosowania dawki do nasilenia objawów. Jest też dobrym wyborem na początku terapii, aby szybko opanować świąd. Z kolei Cytopoint jest często wybierany u psów z wieloma schorzeniami, u których obciążenie wątroby czy nerek jest problemem, u bardzo młodych psów, a także wtedy, gdy właściciel ma problem z regularnym podawaniem tabletek lub po prostu ceni sobie wygodę miesięcznego zastrzyku. To również doskonała opcja dla psów, które nie tolerują tabletek doustnych.

Nowoczesne leczenie w praktyce: Koszty, dostępność i rola weterynarza
Zrozumienie, jak działają leki, to jedno, ale równie ważne są praktyczne aspekty ich stosowania. Koszty, dostępność i przede wszystkim kluczowa rola lekarza weterynarii to elementy, które każdy właściciel psa z AZS musi wziąć pod uwagę.
Ile naprawdę kosztuje leczenie lekami nowej generacji? Analiza wydatków w zależności od wagi psa.
Niestety, muszę być szczery leczenie lekami nowej generacji jest znaczące pod względem kosztów. Są to innowacyjne terapie, a ich cena odzwierciedla zaawansowanie badań i produkcji. Koszty te zależą przede wszystkim od wagi psa i wymaganego dawkowania. Jednorazowy zastrzyk Cytopointu może wydawać się droższy na pierwszy rzut oka, ale jego efekt utrzymuje się przez 4-8 tygodni. Koszt Apoquelu rozkłada się na codzienne tabletki, co dla niektórych właścicieli może być łatwiejsze do zarządzania budżetem. Warto zawsze przed rozpoczęciem terapii omówić z weterynarzem szacunkowe koszty, aby uniknąć zaskoczeń i podjąć świadomą decyzję, która będzie zgodna z możliwościami finansowymi. To kluczowy czynnik decyzyjny dla wielu właścicieli.
Gdzie szukać pomocy? Dostępność terapii w polskich gabinetach weterynaryjnych.
Dobrą wiadomością jest to, że leki nowej generacji, takie jak Apoquel i Cytopoint, są coraz szerzej dostępne w polskich gabinetach weterynaryjnych. Ich skuteczność i bezpieczeństwo sprawiły, że stały się standardem w leczeniu atopowego zapalenia skóry. Oczywiście, zawsze warto skonsultować się z lokalnym weterynarzem, aby upewnić się, że ma on doświadczenie w stosowaniu tych terapii i dostęp do odpowiednich preparatów. Wielu lekarzy aktywnie uczestniczy w szkoleniach i konferencjach, aby być na bieżąco z najnowszymi metodami leczenia AZS.
Dlaczego diagnoza i stała opieka lekarza weterynarii są absolutnie kluczowe dla sukcesu leczenia?
Chciałbym podkreślić z całą mocą: ten artykuł ma charakter wyłącznie informacyjny. Nie zastąpi on profesjonalnej konsultacji z lekarzem weterynarii. Diagnoza atopowego zapalenia skóry wymaga często kompleksowych badań, wykluczenia innych przyczyn świądu i zapalenia skóry. Tylko lekarz weterynarii, po dokładnym zbadaniu psa i zebraniu wywiadu, może postawić właściwą diagnozę i dobrać odpowiednią terapię. Co więcej, leczenie AZS to proces dynamiczny, wymagający ciągłego monitorowania postępów, oceny skuteczności i ewentualnych modyfikacji leczenia. Samodzielne próby leczenia mogą przynieść więcej szkody niż pożytku. Współpraca z zaufanym weterynarzem jest absolutnie kluczowa dla sukcesu i długotrwałego komfortu Twojego pupila.
Co przyniesie przyszłość? Nowe horyzonty w leczeniu psiej atopii
Mimo że leki nowej generacji zrewolucjonizowały leczenie AZS, nauka nie stoi w miejscu. Cały czas prowadzone są intensywne badania nad kolejnymi, jeszcze bardziej zaawansowanymi terapiami, które mogą przynieść jeszcze lepsze rezultaty.
Terapie komórkami macierzystymi: Czy polskie badania przyniosą lek działający przyczynowo?
Jednym z najbardziej obiecujących kierunków są badania nad nowymi lekami biologicznymi, w tym terapiami opartymi na komórkach macierzystych (MSC). W Polsce, firma biotechnologiczna Bioceltix prowadzi zaawansowane badania w tym obszarze. Celem tych terapii jest nie tylko objawowe łagodzenie świądu i zapalenia, ale przede wszystkim działanie przyczynowe, modulujące nieprawidłową odpowiedź immunologiczną, która leży u podstaw AZS. Badania pilotażowe w tym zakresie wykazały dużą skuteczność i bezpieczeństwo, co daje ogromną nadzieję na przyszłość.
Personalizacja leczenia: Ku indywidualnie dobranej terapii dla każdego pacjenta.
Obserwujemy ogólny trend w medycynie, również weterynaryjnej, w kierunku personalizacji leczenia. W przyszłości leczenie atopowego zapalenia skóry może polegać na jeszcze bardziej indywidualnym doborze terapii, optymalnie dopasowanej do specyfiki każdego psa, jego genetyki, unikalnego profilu cytokin i reakcji na leki. Dzięki temu będziemy mogli unikać metod, które są nieskuteczne dla danego zwierzęcia, i skupić się na tych, które zapewnią mu maksymalny komfort i jakość życia.
Nowa nadzieja dla psów z AZS: Podsumowanie i kluczowe wnioski dla właściciela
Atopowe zapalenie skóry to wyzwanie, ale dzięki lekom nowej generacji, takim jak Apoquel i Cytopoint, oraz obiecującym badaniom nad przyszłymi terapiami, mamy dziś znacznie więcej narzędzi do skutecznej walki z tą chorobą. To naprawdę nowa nadzieja dla naszych czworonożnych przyjaciół.
Jak świadomie przygotować się do rozmowy z weterynarzem o nowoczesnym leczeniu?
Jeśli podejrzewasz u swojego psa AZS lub dotychczasowe leczenie nie przynosi oczekiwanych rezultatów, przygotuj się świadomie do rozmowy z weterynarzem. Zbierz szczegółowe informacje o objawach psa (kiedy się nasilają, co je łagodzi, gdzie się drapie), o dotychczasowym leczeniu i jego efektach. Spisz pytania, które chcesz zadać dotyczące leków nowej generacji, ich kosztów, potencjalnych skutków ubocznych i tego, która opcja będzie najlepsza dla Twojego pupila. Taka przygotowana rozmowa będzie znacznie bardziej efektywna i pomoże weterynarzowi w postawieniu trafnej diagnozy i wyborze optymalnego planu leczenia.
Przeczytaj również: Odrobaczanie psa: Jak często? Kalendarz i objawy - poradnik
Odzyskać radość życia: Jak leki nowej generacji wpływają na komfort psa i spokój jego opiekuna.
Leki nowej generacji to nie tylko zaawansowana farmakologia; to przede wszystkim szansa na odzyskanie radości życia dla psów cierpiących na AZS. Zmniejszenie świądu, poprawa kondycji skóry i ogólnego samopoczucia psa przekłada się bezpośrednio na jego komfort i energię. Dla opiekunów oznacza to spokój, ulgę i możliwość cieszenia się wspólnymi chwilami bez ciągłego niepokoju o zdrowie pupila. Widok psa, który przestaje się drapać i znów biega, bawi się i śpi spokojnie, jest bezcenny i to właśnie ta perspektywa napędza nas do ciągłego poszukiwania najlepszych rozwiązań.
