Twój pies połknął coś, co nie powinno znaleźć się w jego żołądku? To naturalne, że czujesz niepokój. Ten artykuł dostarczy Ci kluczowych informacji o tym, kiedy spodziewać się objawów po połknięciu ciała obcego przez psa, jakie sygnały powinny Cię zaalarmować i jak prawidłowo zareagować, aby zapewnić Twojemu pupilowi najlepszą opiekę.
Szybka reakcja na połknięcie ciała obcego przez psa ratuje jego zdrowie i życie.
- Objawy mogą pojawić się już po kilku godzinach, ale krytyczny okres to pierwsze 24-48 godzin.
- Nieleczona, całkowita niedrożność jelit może doprowadzić do śmierci w ciągu 3-4 dni.
- Nie prowokuj wymiotów samodzielnie; to może pogorszyć sytuację.
- Natychmiast skontaktuj się z weterynarzem, jeśli podejrzewasz połknięcie lub zauważysz niepokojące objawy.
- Ostre, liniowe lub toksyczne przedmioty stanowią szczególne zagrożenie i wymagają pilnej interwencji.

Twój pies coś połknął? Zegar tyka dowiedz się, kiedy spodziewać się objawów
Wiem, jak stresująca może być sytuacja, gdy podejrzewasz, że Twój pies połknął coś niebezpiecznego. Czas jest tutaj absolutnie kluczowy, a szybka reakcja może uratować życie Twojego pupila. Standardowo, proces trawienia u psów trwa od 4 do 12 godzin, ale ciało obce, które utknęło, całkowicie zaburza ten naturalny cykl, stając się tykającą bombą zegarową.
Dlatego tak ważne jest, aby zrozumieć, jak szybko mogą pojawić się objawy i co robić, gdy tylko się pojawią. Nie czekaj biernie, ale bądź przygotowany na działanie.
Faza natychmiastowa (0-4 godziny): Czy pierwsze sygnały mogą pojawić się tak szybko?
Tak, zdecydowanie! W niektórych przypadkach, zwłaszcza gdy ciało obce jest duże i powoduje całkowitą niedrożność w górnym odcinku jelita, objawy mogą pojawić się niemal natychmiast lub w ciągu kilku godzin od połknięcia. Mogą to być gwałtowne wymioty, dławienie się, kaszel, a nawet trudności w oddychaniu. Jeśli podejrzewasz, że Twój pies połknął coś ostrego, toksycznego lub po prostu bardzo dużego, nie czekaj na rozwój objawów. Natychmiast skontaktuj się z weterynarzem, ponieważ każda minuta ma znaczenie.
Krytyczne 24 godziny: Okno czasowe, w którym najczęściej ujawnia się niedrożność
Pierwsze 24 do 48 godzin to najbardziej krytyczny okres obserwacji. To właśnie w tym czasie najczęściej ujawniają się alarmujące symptomy niedrożności jelit. Jeśli ciało obce przedostało się dalej niż przełyk i żołądek, ale utknęło w jelitach, objawy takie jak uporczywe wymioty, apatia czy ból brzucha zazwyczaj stają się widoczne w ciągu pierwszej doby. W mojej praktyce widziałem, jak zwłoka w tym okresie znacząco pogarsza rokowania, prowadząc do poważnych komplikacji, a nawet zagrożenia życia.
Dni, a nawet tygodnie później: Podstępne objawy częściowej lub "cichej" niedrożności
Niestety, nie zawsze objawy są tak oczywiste i gwałtowne. W przypadku częściowej niedrożności, gdy przedmiot nie blokuje całkowicie przepływu treści pokarmowej, lub gdy utknął w dalszej części jelit, symptomy mogą być bardziej podstępne, niejasne i pojawiać się z opóźnieniem. Czasami właściciele zgłaszają się po kilku dniach, a nawet tygodniach, z psem, który jest osowiały, ma nawracające wymioty, traci na wadze, ale nie ma ewidentnych objawów ostrej niedrożności. To sprawia, że diagnostyka jest trudniejsza, a stan psa może się stopniowo pogarszać. Muszę podkreślić, że nieleczona, całkowita niedrożność jelit może doprowadzić do śmierci zwierzęcia w ciągu zaledwie 3-4 dni, dlatego tak ważne jest, aby nie bagatelizować żadnych niepokojących sygnałów.

Lista kontrolna objawów: Od subtelnych zmian w zachowaniu po czerwone flagi
Jako właściciel psa, jesteś najlepszym obserwatorem swojego pupila. Zwracaj uwagę na wszelkie, nawet najmniejsze, zmiany w jego zachowaniu. Pamiętaj, że psy często starają się ukryć ból, dlatego Twoja czujność jest nieoceniona. Poniżej przedstawiam listę najczęstszych i najbardziej alarmujących objawów, które mogą wskazywać na połknięcie ciała obcego i niedrożność jelit.
Wymioty i odruchy wymiotne: Jak odróżnić zwykłą niestrawność od alarmu?
Wymioty są jednym z najczęstszych i najbardziej alarmujących sygnałów. Przy niedrożności często są nagłe, uporczywe i powtarzające się. Mogą zawierać niestrawiony pokarm, ślinę, a czasem nawet domieszkę krwi lub żółci. Jak odróżnić je od zwykłej niestrawności? Zwróć uwagę na częstotliwość jeśli pies wymiotuje wielokrotnie w krótkim czasie, to jest to powód do niepokoju. Dodatkowo, jeśli wymiotom towarzyszą inne objawy z poniższej listy, to masz do czynienia z poważniejszą sytuacją.
Apatia i brak apetytu: Dlaczego pies odmawia jedzenia i ulubionych zabaw?
Pies z niedrożnością jelit często staje się osowiały, osłabiony i apatyczny. Odmawia jedzenia i picia, nawet swoich ulubionych smakołyków. Brak zainteresowania codziennymi aktywnościami, takimi jak ulubione zabawki, spacery czy interakcje z rodziną, to również bardzo poważny sygnał. Jeśli Twój zazwyczaj energiczny pupil nagle stracił chęć do życia, to jest to wyraźny sygnał, że coś jest nie tak.
Problemy z wypróżnianiem: Kiedy zaparcie lub biegunka powinny wzbudzić Twój niepokój?
Niedrożność jelit może objawiać się na różne sposoby, jeśli chodzi o wypróżnianie. Najczęściej występuje całkowity brak stolca (zaparcie), ponieważ ciało obce blokuje jego przejście. Jednakże, w przypadku częściowej niedrożności, może pojawić się również biegunka, często z domieszką śluzu lub krwi. Krew w kale, niezależnie od tego, czy występuje zaparcie, czy biegunka, jest zawsze sygnałem alarmowym i wymaga natychmiastowej konsultacji weterynaryjnej.
Ból brzucha i nietypowa postawa: Jak rozpoznać, że Twojego psa naprawdę boli?
Ból brzucha jest bardzo silnym wskaźnikiem problemu. Twój pies może popiskiwać, jęczeć, unikać dotyku w okolicy brzucha. Jego brzuch może być napięty, twardy i wzdęty. Bardzo charakterystycznym, choć nie zawsze występującym, objawem jest tzw. "pozycja modlitewna". Pies w tej pozycji wygina grzbiet, przednie łapy ma wyciągnięte do przodu, a zad uniesiony. To silny sygnał ostrego bólu brzucha. Oprócz tego, zwróć uwagę na inne sygnały, takie jak nadmierne ślinienie się, dławienie, kaszel lub trudności w oddychaniu, które mogą wskazywać na problem w górnym odcinku przewodu pokarmowego.

Nie każde ciało obce działa tak samo: Co wpływa na czas i rodzaj symptomów?
Z mojego doświadczenia wynika, że nie wszystkie ciała obce są równie niebezpieczne i nie wszystkie wywołują takie same objawy w tym samym czasie. Zrozumienie, co wpływa na ryzyko i rodzaj symptomów, jest kluczowe dla oceny sytuacji i podjęcia odpowiednich kroków.
Kształt i wielkość mają znaczenie: Od małej pestki po dużą skarpetkę
To logiczne, że rodzaj, kształt i wielkość przedmiotu mają ogromny wpływ na ryzyko i objawy. Mała, gładka pestka może czasem przejść przez układ pokarmowy bez problemów, choć zawsze jest ryzyko. Duża, nieregularna kość lub kamień znacznie łatwiej spowodują niedrożność. Widziałem psy, które połykały zabawki, skarpetki, a nawet całe ręczniki. Im większy przedmiot, tym większe prawdopodobieństwo zablokowania jelit. Przedmioty o nieregularnych kształtach, takie jak kłosy traw, mogą również wbijać się w ścianki jelit, powodując perforację.
Niebezpieczne materiały: Dlaczego ostre, toksyczne lub liniowe przedmioty to wyścig z czasem?
Niektóre ciała obce są szczególnie niebezpieczne i wymagają natychmiastowej interwencji:
- Ostre przedmioty (np. igły, kawałki szkła, fragmenty kości) mogą spowodować perforację jelit niemal natychmiast. To prowadzi do zapalenia otrzewnej, stanu bezpośredniego zagrożenia życia.
- Przedmioty liniowe (np. sznurki, nitki, taśmy, rajstopy) są wyjątkowo zdradliwe. Mogą one "harmonijkować" jelita, powodując ich marszczenie się i przecinanie ścianek, co jest niezwykle bolesne i śmiertelnie niebezpieczne.
- Przedmioty pęczniejące (np. gąbki, pieluchy, niektóre zabawki) mogą wchłonąć wodę i znacznie zwiększyć swoją objętość w przewodzie pokarmowym, skutecznie blokując go.
- Przedmioty toksyczne (np. baterie, niektóre rośliny, chemikalia) stanowią podwójne zagrożenie oprócz niedrożności, uwalniają szkodliwe substancje, które mogą prowadzić do zatrucia organizmu.
W przypadku połknięcia któregokolwiek z tych przedmiotów, nie ma czasu na obserwację liczy się każda minuta.
Miejsce utknięcia: Różnice w objawach między niedrożnością w górnym i dolnym odcinku jelit
Lokalizacja, w której ciało obce utknęło, ma ogromne znaczenie dla rodzaju i szybkości pojawiania się objawów. Niedrożność w wyższych częściach przewodu pokarmowego (np. dwunastnica, początkowe odcinki jelita czczego) zazwyczaj daje szybsze i bardziej gwałtowne objawy, takie jak uporczywe wymioty, ponieważ treść pokarmowa nie może przejść dalej. Z kolei niedrożność w dalszych odcinkach jelit może objawiać się bardziej subtelnie i z opóźnieniem, często jako apatia, brak apetytu i sporadyczne wymioty. Ważny jest również stopień niedrożności całkowita niedrożność to bezpośrednie zagrożenie życia i wymaga natychmiastowej interwencji, podczas gdy częściowa może dawać mniej specyficzne i przewlekłe objawy, ale również prowadzi do poważnych konsekwencji, jeśli nie zostanie zdiagnozowana i leczona.
Pies coś zjadł konkretny plan działania. Co robić, a czego unikać?
Kiedy podejrzewasz, że Twój pies połknął ciało obce, panika jest naturalną reakcją. Jednak w tym momencie najważniejsze jest zachowanie spokoju i podjęcie świadomych, szybkich działań. Poniżej przedstawiam konkretny plan, co należy, a czego absolutnie nie należy robić.
Błąd nr 1: Nigdy nie prowokuj wymiotów na własną rękę!
To jest absolutnie kluczowa zasada, którą musisz zapamiętać: Nigdy, przenigdy nie próbuj samodzielnie prowokować wymiotów u psa! Choć może Ci się wydawać, że to pomoże, w rzeczywistości możesz pogorszyć sytuację. Jeśli przedmiot jest ostry, może uszkodzić przełyk podczas powrotu. Jeśli jest toksyczny, może spowodować dodatkowe obrażenia chemiczne. Jeśli jest duży, może utknąć w przełyku, prowadząc do dławienia. Prowokowanie wymiotów to procedura medyczna, którą może wykonać tylko weterynarz, w odpowiednich warunkach i tylko wtedy, gdy jest to bezpieczne. Dodatkowo, nie podawaj psu żadnego jedzenia ani picia może to pogorszyć sytuację i utrudnić ewentualny zabieg.
Kiedy obserwacja w domu jest dopuszczalna, a kiedy to zbyt duże ryzyko?
Możliwość obserwacji w domu jest dopuszczalna tylko w bardzo specyficznych i rzadkich przypadkach, i zawsze po konsultacji telefonicznej z weterynarzem. Jeśli weterynarz uzna, że połknięty przedmiot jest mały, gładki, niestwarzający zagrożenia i został połknięty niedawno, może zalecić obserwację. Jednak w większości sytuacji, a zwłaszcza gdy masz jakiekolwiek wątpliwości co do rodzaju przedmiotu, jego wielkości lub stanu zdrowia psa, ryzyko samodzielnej obserwacji jest zbyt duże. Lepiej dmuchać na zimne i skonsultować się ze specjalistą.
Sytuacje bezdyskusyjne: Lista objawów, które wymagają natychmiastowej wizyty w lecznicy
Istnieją pewne sygnały i sytuacje, które nie pozostawiają miejsca na wątpliwości. Jeśli zauważysz którykolwiek z poniższych objawów lub podejrzewasz połknięcie konkretnego typu przedmiotu, natychmiast udaj się z psem do najbliższej lecznicy weterynaryjnej:
- Podejrzenie połknięcia ostrego, liniowego, toksycznego lub pęczniejącego przedmiotu (np. igła, sznurek, bateria, gąbka).
- Wymioty, zwłaszcza uporczywe, z krwią lub żółcią.
- Apatia, osowiałość, brak apetytu lub pragnienia.
- Ból brzucha, napięty brzuch, charakterystyczna "pozycja modlitewna".
- Brak stolca (zaparcie) lub krwawa biegunka.
- Dławienie, kaszel, trudności w oddychaniu, nadmierne ślinienie.
- Jakiekolwiek inne nagłe i niepokojące zmiany w zachowaniu lub stanie zdrowia psa.

Co czeka Twojego psa u weterynarza? Diagnostyka i metody leczenia
Wiem, że wizyta u weterynarza w takiej sytuacji może być stresująca, ale przygotowanie się na to, co Cię czeka, może pomóc zmniejszyć niepokój. Oto, jak zazwyczaj przebiega diagnostyka i leczenie w przypadku połknięcia ciała obcego.
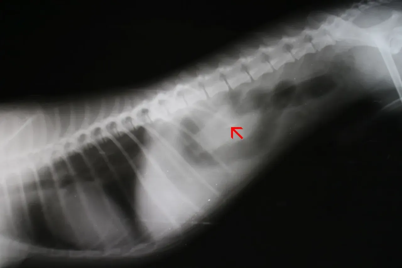
Od palpacji po RTG i USG: Jak lekarz znajduje problem w jelitach?
Pierwszym krokiem będzie zawsze szczegółowy wywiad z Tobą. Przygotuj się na pytania o to, co pies mógł połknąć, kiedy to nastąpiło, jakie objawy zauważyłeś i od kiedy. Każda informacja jest na wagę złota! Następnie lekarz przeprowadzi badanie kliniczne, w tym delikatną palpacyjną ocenę brzucha, aby sprawdzić, czy jest bolesny, napięty lub wzdęty.
Kluczowe w diagnostyce są badania obrazowe:
- RTG (rentgen): Jest bardzo skuteczny w wykrywaniu przedmiotów metalowych, kości, kamieni. Niestety, nie wszystkie ciała obce są widoczne na zdjęciu rentgenowskim.
- USG (ultrasonografia): Jest pomocne w wizualizacji przedmiotów niewidocznych na RTG, takich jak te wykonane z plastiku, tkanin czy drewna. Może również pomóc ocenić stan ścian jelit i obecność płynu w jamie brzusznej.
- W niektórych przypadkach stosuje się RTG z kontrastem, gdzie podaje się psu specjalny środek, który pozwala na obserwację jego przepływu przez przewód pokarmowy i uwidocznienie ewentualnych blokad.
Przeczytaj również: Odrobaczanie psa: Jak często? Kalendarz i objawy - poradnik
Endoskopia czy operacja? Kiedy konieczny jest zabieg chirurgiczny, aby uratować psu życie?
Po postawieniu diagnozy, weterynarz zaproponuje odpowiednie leczenie:
- Wywołanie wymiotów: Jeśli ciało obce zostało połknięte niedawno (zazwyczaj do 1-2 godzin) i nie jest ostre ani toksyczne, weterynarz może podjąć próbę wywołania wymiotów w lecznicy, pod ścisłą kontrolą.
- Endoskopia: Jeśli przedmiot znajduje się w przełyku lub żołądku i ma odpowiedni kształt, możliwe jest jego usunięcie za pomocą endoskopu to mniej inwazyjna metoda, która pozwala uniknąć operacji.
- Interwencja chirurgiczna (enterotomia): Niestety, w wielu przypadkach, zwłaszcza gdy ciało obce utknęło w jelitach, spowodowało niedrożność, perforację lub gdy inne metody są nieskuteczne, konieczna jest operacja. Jest to zabieg ratujący życie, polegający na otwarciu jamy brzusznej i usunięciu przedmiotu z przewodu pokarmowego.
Zapobieganie to podstawa: Jak zabezpieczyć dom i spacery, by uniknąć dramatu w przyszłości?
Jako weterynarz, zawsze powtarzam, że najlepszym leczeniem jest zapobieganie. Połknięcie ciała obcego to jeden z najczęstszych problemów, z jakimi zgłaszają się do mnie właściciele. Możesz jednak znacząco zminimalizować ryzyko, wprowadzając kilka prostych zasad:
- Regularne sprzątanie domu: Upewnij się, że małe przedmioty, takie jak guziki, monety, spinki do włosów, gumki recepturki, małe zabawki dziecięce czy fragmenty roślin, są poza zasięgiem Twojego psa.
- Zabezpieczanie koszy na śmieci: Wiele psów to prawdziwi "śmieciarze". Używaj koszy z pokrywami lub trzymaj je w zamkniętych szafkach.
- Używanie bezpiecznych zabawek: Wybieraj zabawki odpowiednie do wielkości i siły żucia Twojego psa. Unikaj tych, które łatwo się rozpadają na małe kawałki. Regularnie sprawdzaj stan zabawek i wymieniaj zużyte.
- Nadzór podczas spacerów: Pilnuj psa, aby nie zjadał znalezionych przedmiotów na dworze kamieni, patyków, resztek jedzenia czy niestety, śmieci.
- Nauka komend "zostaw" i "puść": To podstawowe komendy, które mogą uratować życie Twojego psa, jeśli złapie coś niebezpiecznego.
- Uważność na typowe niebezpieczne przedmioty: Bądź szczególnie czujny na sznurki, skarpetki, pestki owoców (np. awokado, brzoskwinie), kości (zwłaszcza gotowane, które łatwo się łamią i kruszą).
